Aguarde...
Imagem meramente ilustrativa
Imagem meramente ilustrativa
Imagem meramente ilustrativa
Imagem meramente ilustrativa
Imagem meramente ilustrativa
Imagem meramente ilustrativa
  • Processo:
  • Autor: -

Descrição

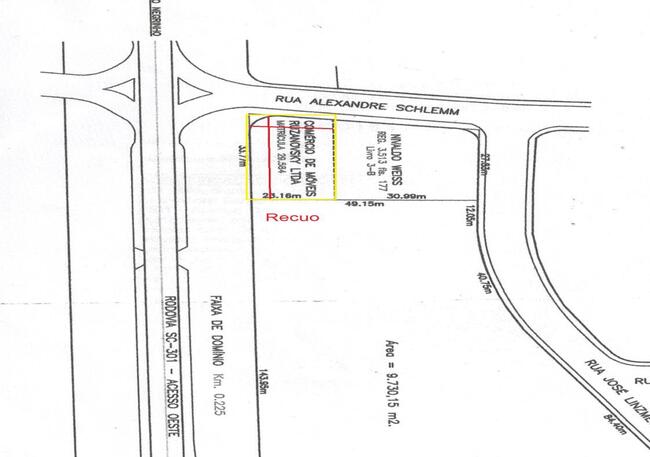
LOTE: Um terreno urbano, situado no bairro Oxford, nesta cidade, contendo matrícula 29.584, fazendo frente para a Rua Alexandre Schlemm, por uma linha curva de 6,46 metros e uma linha reta de 17,16 metros, fundos com herdeiros de Carlos Rudnick, por 23,16 metros lado direito com Nivaldo Weiss por 32,48 metros, lado esquerdo com a faixa de domínio da Rodovia BR 280 por 33,15 metros, contendo a área de setecentos e oitenta e um metros e sessenta decímetros quadrados (781,60m²). O imóvel apresenta excelente localização, fazendo faz lateral com a indicada Rodovia BR 280 (atualmente nomeada Rodovia Deputado Genesio Tureck - Acesso Oeste), esquina e frente com a Rua Alexandre Schlemm, bairro Oxford nesta cidade. A frente do imóvel possui rua asfaltada, sendo localizado em região com vizinhança de padrão médio/alto. O local é dotado de infraestrutura básica, (água tratada, energia elétrica, telefonia, coleta de lixo, etc) e fica ao lado de Supermercado. Trata-se de terreno baldio. A topografia do imóvel é regular, em nível mais baixo que a Rodovia, porém, possui bom potencial para edificação.

Ac. Dep. Genésio Tureck - Acesso Oeste, 222 - Oxford, São Bento do Sul - SC, 89288

Formas de pagamento

Consulte o edital

Documentos

Lote 1

TERRENO COM ÁREA DE 781,60M² DE FRENTE COM A RODOVIA SC-418 EM SÃO BENTO/SC

R$ 0,00Avaliação
R$ 1.000,00Incremento
R$ 703.440,00Valor 1º leilão R$ 351.720,00Valor 2º leilão
São Bento do Sul - SC
Primeiro leilão
02/02/2026 a partir das 14:00
Segundo leilão
09/02/2026 a partir das 14:00

Lotes em destaque

Visitas: 149

Receba novidades por e-mail

Cadastre seu e-mail abaixo e receba gratuitamente conteúdos exclusivos e todas as novidades do site com prioridade!